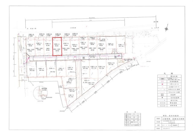
【区画図】
- 土地面積(坪数)
- 201.00㎡(60.80坪)
- 建ぺい率 / 容積率
- 60% / 200%
- 販売区画数
- -
- 総区画数
- 23区画
- 土地面積(坪数)
- 201.00㎡(60.80坪)
- 坪単価
- 15.49万円
- 私道負担面積
割合 -
-
- セットバック
- 無
- 建ぺい率 /
容積率 - 60% / 200%
- 高圧線下面積
- -
- 傾斜地部分面積
- -
- 路地状敷地
- -
- 地目
- 宅地
- 地勢
- 平坦
- 造成工事
完了予定 - 2025-12-00
- 土地権利
- 所有権
- 建築条件
- 無
- 都市計画
- 市街化区域
- 用途地域
- 準住居
- 接道状況
- 一方(南 公道 6.0m 間口 10.0m)
- 国土法届出要否
- 不要
- 最適用途
- 住宅用地
- その他
法令上の制限 - 景観法
- 取引態様
- 一般媒介
- 現況
- 未造成
- 引渡条件
- 更地渡
- 引渡時期
- 2025年12月中旬
- その他条件
- メーター分担金一括:12万3,200円 下水道受益者負担金一括:26万8,340円
- 取引条件の
有効期限 - 2025年11月19日
- 設備条件
-
- 陽当り良好 / 閑静な住宅地 / 仲介手数料無料 / プロパンガス / 公営水道 / 公共下水 / 電気有
- 設備(その他)
-
-
区画により電柱及び支線の設置の可能性があります。
- 物件番号
- 97634027
- 管理コード
- -
- 情報更新日
- 2025年11月05日
- 次回更新予定日
- 2025年11月19日
- 備考
- 敷地北側30.9㎡については建物等建築不可となります。
-
コンビニエンスストア
ファミリーマート 松本波田店
135m(2分)
-
駅
森口
216m(3分)
-
銀行
八十二銀行波田支店
327m(5分)
-
小学校
波田小学校
2408m(31分)
-
中学校
波田中学校
2523m(32分)
- 月々の支払額
- 9.6円
- 購入希望物件価格
-
万円
- 頭金
-
万円
- 金利
-
%
- 返済額(ボーナス1回分)
-
万円
- 返済期間
-
年
セールスポイント
購入時の仲介手数料は最大無料!「松本市波田森口」
松本市エリアの新居にピッタリ☆
駅まで徒歩3分の好立地です☆
こちらの土地は前面道路6m以上です☆
建築についてじっくり考えられるというメリットのある建築条件なし☆
住まい探しでお悩みの点はございませんか☆不動産の悩みや質問など、どのようなことでもぜひお気軽に当社へお問い合わせください☆
不動産のプロであるスタッフが親切丁寧にご対応いたします(^_
ポイント
担当者のコメント
基本情報
設備条件
その他
松本市波田森口の他の区画
周辺施設
支払いシミュレーション
※ボーナスは自動で年2回分で計算されます。
近隣の物件
松本市波田森口
942万円
-(201.00㎡)
お気軽にお問い合わせください
株式会社TEAM ZERO
0263-31-0860
9:00~18:00
(休:土曜・日曜・祝日(時間外のご予約もお気軽にご相談ください。))

田中 康義
徒歩3分の場所に駅があります◎
立地する準住居地域は、住環境を悪化させるおそれのある小工場や一定の危険物の貯蔵・処理工場などが禁止されている地域です◎
松本電気鉄道上高地線森口周辺で土地をお探しなら、TEAM ZEROにお任せください◎
土地に関するお問い合わせは、0263-31-0860にて承っております(^_^)