【外観】
- 土地面積(坪数)
- 200.82㎡(60.74坪)
- 建ぺい率 / 容積率
- 60% / 200%
- 販売区画数
- -
- 総区画数
- 23区画
- 土地面積(坪数)
- 200.82㎡(60.74坪)
- 坪単価
- 15.49万円
- 私道負担面積
割合 -
-
- セットバック
- 無
- 建ぺい率 /
容積率 - 60% / 200%
- 高圧線下面積
- -
- 傾斜地部分面積
- -
- 路地状敷地
- -
- 地目
- 宅地
- 地勢
- 平坦
- 造成工事
完了予定 - 2025-12-00
- 土地権利
- 所有権
- 建築条件
- 無
- 都市計画
- 市街化区域
- 用途地域
- 準住居
- 接道状況
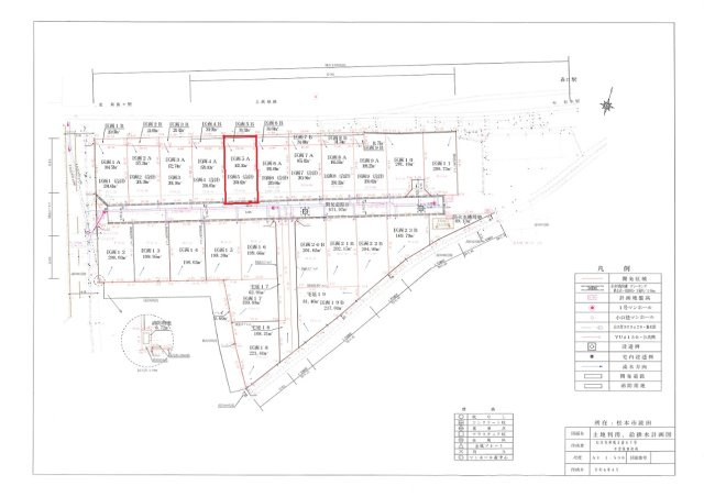
- 一方(南 公道 6.0m 間口 9.9m)
- 国土法届出要否
- 不要
- 最適用途
- 住宅用地
- その他
法令上の制限 - 景観法
- 取引態様
- 一般媒介
- 現況
- 未造成
- 引渡条件
- 更地渡
- 引渡時期
- 2025年12月中旬
- その他条件
- メーター分担金一括:12万3,200円 下水道受益者負担金一括:26万8,278円
- 取引条件の
有効期限 - 2025年11月19日
- 設備条件
-
- 陽当り良好 / 閑静な住宅地 / 仲介手数料無料 / プロパンガス / 公営水道 / 公共下水 / 電気有
- 設備(その他)
-
-
区画により電柱及び支線の設置の可能性があります。
- 物件番号
- 97644447
- 管理コード
- -
- 情報更新日
- 2025年11月05日
- 次回更新予定日
- 2025年11月19日
- 備考
- 敷地北側33.32㎡については建物等建築不可となります。
-
コンビニエンスストア
ファミリーマート 松本波田店
135m(2分)
-
駅
森口
216m(3分)
-
銀行
八十二銀行波田支店
327m(5分)
-
小学校
波田小学校
2408m(31分)
-
中学校
波田中学校
2523m(32分)
- 月々の支払額
- 9.6円
- 購入希望物件価格
-
万円
- 頭金
-
万円
- 金利
-
%
- 返済額(ボーナス1回分)
-
万円
- 返済期間
-
年
セールスポイント
購入時の仲介手数料は最大無料!
「松本市波田森口」:松本市エリアの新居にピッタリ♪
徒歩31分の場所に波田小学校があります♪
松本電気鉄道上高地線森口周辺で土地を買うなら、ぜひ当社の土地をお選びください♪
土地に関することなら、information@team-zero.co.jpからTEAM ZEROまでお問い合わせくださいませ(^_^)
ポイント
担当者のコメント
基本情報
設備条件
その他
松本市波田森口の他の区画
周辺施設
支払いシミュレーション
※ボーナスは自動で年2回分で計算されます。
近隣の物件
松本市波田森口
941万円
-(200.82㎡)
お気軽にお問い合わせください
株式会社TEAM ZERO
0263-31-0860
9:00~18:00
(休:土曜・日曜・祝日(時間外のご予約もお気軽にご相談ください。))

田中 康義
徒歩3分の場所に駅があります◎
立地する準住居地域は、住環境を悪化させるおそれのある小工場や一定の危険物の貯蔵・処理工場などが禁止されている地域です◎
松本電気鉄道上高地線森口周辺で土地をお探しなら、TEAM ZEROにお任せください◎
土地に関するお問い合わせは、0263-31-0860にて承っております(^_^)