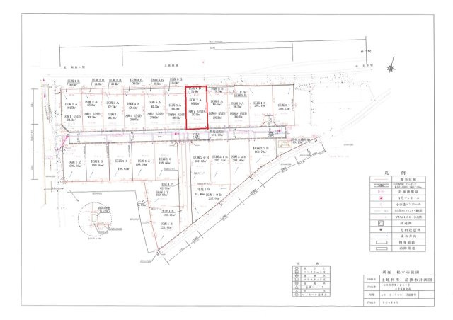
【外観】
- 土地面積(坪数)
- 199.30㎡(60.28坪)
- 建ぺい率 / 容積率
- 60% / 200%
- 販売区画数
- -
- 総区画数
- 23区画
- 土地面積(坪数)
- 199.30㎡(60.28坪)
- 坪単価
- 15.51万円
- 私道負担面積
割合 -
-
- セットバック
- 無
- 建ぺい率 /
容積率 - 60% / 200%
- 高圧線下面積
- -
- 傾斜地部分面積
- -
- 路地状敷地
- -
- 地目
- 宅地
- 地勢
- 平坦
- 造成工事
完了予定 - 2025-12-00
- 土地権利
- 所有権
- 建築条件
- 無
- 都市計画
- 市街化区域
- 用途地域
- 準住居
- 接道状況
- 一方(北 公道 6.0m 間口 10.9m)
- 国土法届出要否
- 不要
- 最適用途
- 住宅用地
- その他
法令上の制限 - 景観法
- 取引態様
- 一般媒介
- 現況
- 未造成
- 引渡条件
- 更地渡
- 引渡時期
- 2025年12月中旬
- その他条件
- メーター分担金一括:12万3,200円 下水道受益者負担金一括:26万7,762円
- 取引条件の
有効期限 - 2025年11月19日
- 設備条件
-
- 陽当り良好 / 閑静な住宅地 / 仲介手数料無料 / プロパンガス / 公営水道 / 公共下水 / 電気有
- 設備(その他)
-
-
区画により電柱及び支線の設置の可能性があります。
- 物件番号
- 97644985
- 管理コード
- -
- 情報更新日
- 2025年11月05日
- 次回更新予定日
- 2025年11月19日
-
コンビニエンスストア
ファミリーマート 松本波田店
135m(2分)
-
駅
森口
216m(3分)
-
銀行
八十二銀行波田支店
327m(5分)
-
小学校
波田小学校
2408m(31分)
-
中学校
波田中学校
2523m(32分)
- 月々の支払額
- 9.6円
- 購入希望物件価格
-
万円
- 頭金
-
万円
- 金利
-
%
- 返済額(ボーナス1回分)
-
万円
- 返済期間
-
年
セールスポイント
購入時の仲介手数料は最大無料!
「松本市波田森口」のここがイチオシ。
建築条件なしなので、自分で好きな業者を選ぶことができます。
935万円という価格を実現していますので、非常におすすめです。
建築プランの自由度が高い、平坦な地勢です。
お客様の住まい探しを全力でサポートいたします。
ポイント
担当者のコメント
基本情報
設備条件
その他
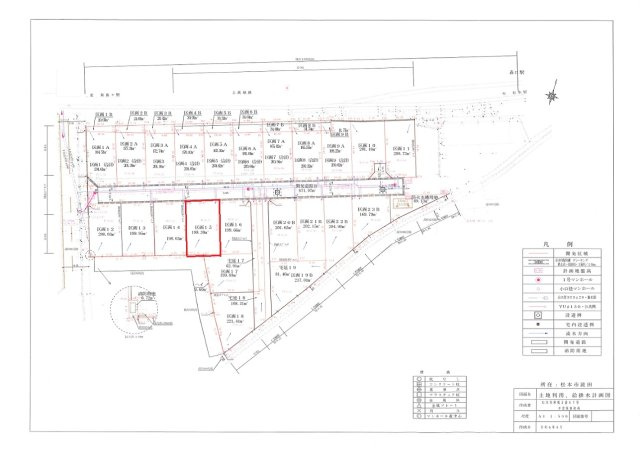
松本市波田森口の他の区画
周辺施設
支払いシミュレーション
※ボーナスは自動で年2回分で計算されます。
近隣の物件
松本市波田森口
935万円
-(199.30㎡)
お気軽にお問い合わせください
株式会社TEAM ZERO
0263-31-0860
9:00~18:00
(休:土曜・日曜・祝日(時間外のご予約もお気軽にご相談ください。))

田中 康義
平坦地なので、擁壁・造成費用を削減できます!
立地する準住居地域は、道路の沿道において、自動車関連施設などの建築やサービス業と、これに調和した住居の環境を保護するための地域です!
土地のご購入をお考えなら、ぜひこちらの935万円の土地を!
土地を探すなら、利便性の高い松本市エリアにある松本電気鉄道上高地線森口近くはいかがですか!
お問い合わせはinformation@team-zero.co.jpまでお待ちしております(*^^*)